Kleine Anmerkung zum Titelbild
Das Foto habe ich heute mit der Drohne im Panorama-Modus gemacht. Rarotonga ist tatsächlich nicht besonders groß, wie man auf diesem Bild eindrucksvoll sehen kann. Ich war lediglich auf 80m Höhe und das Foto umfasst einen 180 Grad-Winkel. Also durchaus realistisch. Ich war ca. 650m weit aufs Meer rausgeflogen. Schon abgefahren! Der Pazifik ist so ewig groß und weit und dann ploppen immer wieder mal so Perlen aus dem Nichts auf wie Tonga, Niue oder Rarotonga – miniklein, aber strahlend bunt und grün bewachsen! Die Erde ist so ein schönes Fleckchen!
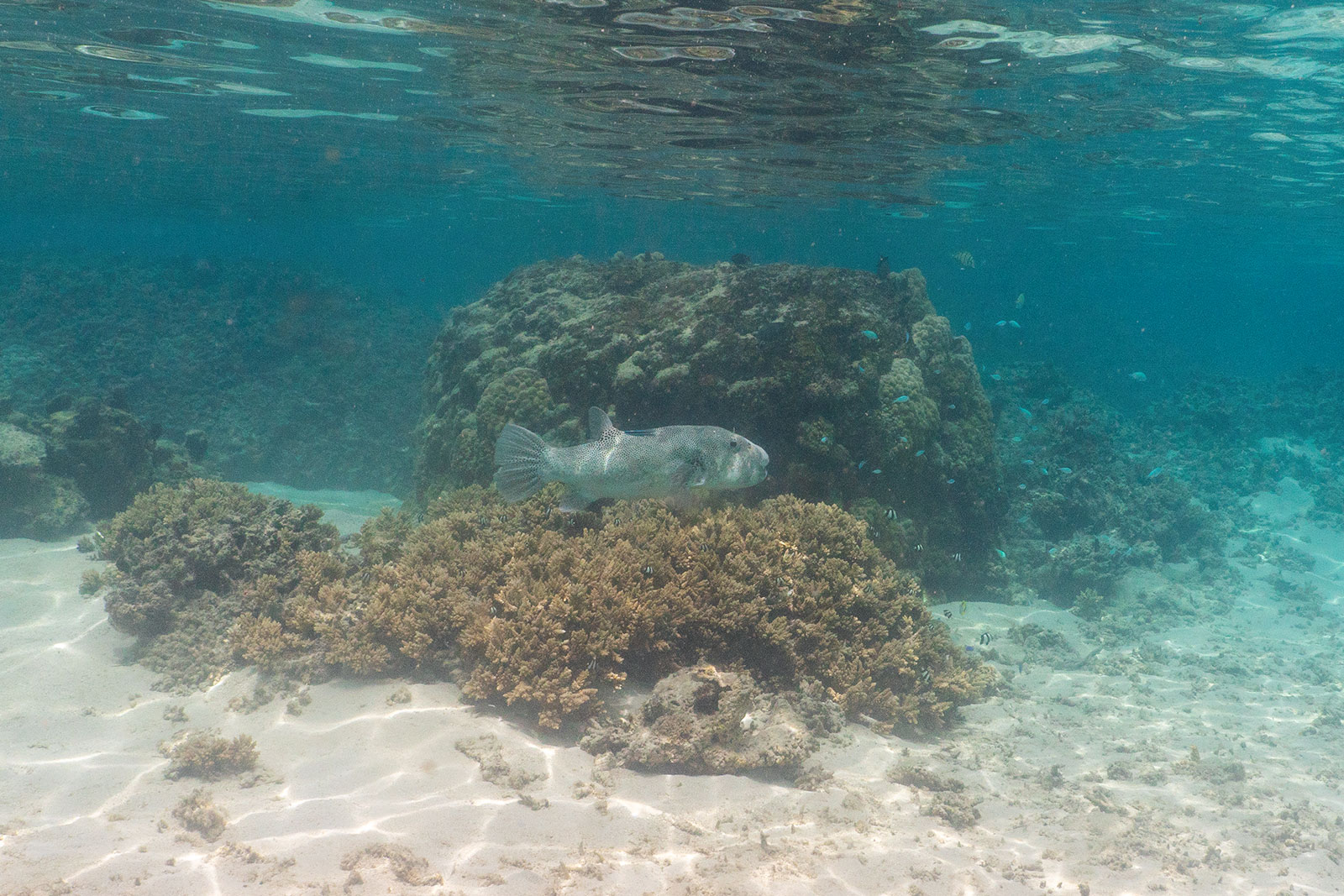
Schnorcheln in der Aora Lagune

Eine Bucht weiter im Osten ist die berühmt und berüchtigte Avaavaroa Passage. Dort trifft man zahlreiche Meeresschildkröten. Leider auch auf sehr starke und gefährliche Meeresströmungen. Erst vor 3 Wochen ist wohl jemaden ertrunken beim Schnorcheln, weil er von der Strömung erfasst wurde und aufs offene Meer hinausgezogen wurde. Es wird daher empfohlen die Schnorchel-Tour mit Guides zu machen. Die wollen jedoch stolze 80 € pro Person für betreutes Schnorcheln! Das ist nicht nur teuer, sondern frech! Wir beschließen daher, dass wir unser Glück zunächst mal vor der eigenen Haustüre suchen. Das Aora Lagune gilt nämlich ebenfalls als eine der schönsten Spots auf Rarotonga.

Leider haben wir keine Schildkröten gefunden, dafür viele schöne kleine Korallenbänke. Das Wasser ist nicht ganz so Badewanne – finde ich zumindest. Ich schätze es sind so um die 24 Grad. Geht schon, aber ohne Leicra finde ich es zum Schnorcheln zu kalt. Maila sitzt nach ein paar Minuten Schnorcheln abwechselnd auf Miris oder meinem Rücken. Zum Teil war es recht seicht, jetzt bei Low Tide. Irgendwann sind die beiden Frostbeulen aus der Lagune raus und haben die Mama weiter schnorcheln lassen. Die braucht auch mal ihre Ruhe! Papa und Tochter haben ca. 2 Stunden lang warm geduscht und Lieder gesungen.



Unsere Wachhühner schauen vorbei

Während hier alle Strandhäuser im Umkreis Wachhunde haben, die einen wirklich immer anbellen, haben wir hier Wachhühner. Und die beiden sind ehrlich gesagt ziemlich süß. Das Kleine hatte heute schon seine erste Flugstunde, als die Mama vom Frühstückstisch genascht und sich dann mit schlechtem Gewissen aus dem Staub gemacht hat als wir rausgekommen sind. Ihr kleines Kücken hat sie einfach auf unserem Frühstückstisch vergessen. Und so hat es zwei, drei Anläufe genommen – wir haben noch im Chor erst zwei-, dann dreistimmig „Neeeeeeeeiiiiiiiiin!“ gerufen und dann hat es einfach sein kleines Hühnerherz in die Hand genommen und sich todesmutig in die Tiefe gestürzt. Ist dabei auf die Nase gefallen. Hat sich aber doch recht gut mit hektischen Miniflügel-Schlägen abgefangen. Hätte ich jetzt auch nicht erwartet, dass ich mal Hühner süß finde…

Siesta am Strand


Besteigung des RaeMaru
Nach dem Schnorcheln sind wir ein wenig rumgegammelt. Mal am Strand Muscheln suchen, mal im Meer Mama suchen, die immer noch schnorcheln war, mal im Kühlschrank die Cookies suchen. In jedem Falle hat es mich dann mal wieder unruhig gemacht, wenn zu viel Ruhe um mich rum war. Und so habe ich meine Mädels davon überzeugt, dass es eine total gute Idee ist, auf den Berg hinter uns hochzuklettern. Das Plateau oben auf dem Gifpel ist 357m hoch und heisst Raemaru Peak. Also haben wir uns wander-ready gemacht und sind losgezogen. Es war allerdings schon 16:30 Uhr und um 18:30 Uhr geht die Sonne unter. Wir mussten also zügig marschieren, um nicht in die Dämmerung zu kommen. Kleine Teaser: hat nicht geklappt. Wir waren zu spät. Das hätte der Berg doch wissen müssen…
Durch unser hohes Anfangstempo durch den sehr schönen Urwald, hatten wir Verluste zu beklagen. Nach 100 Höhenmetern ist 1/3 unseres Gebiergszuges mit Kreislaufproblemen ausgefallen und musste eine kleine Rast einlegen. Wie in Horrorfilmen empfohlen, haben wir uns selbstverständlich aufgeteilt und die übrigen 2/3 sind weiter stoisch dem Gipfel-Plateau entgegen. Die Aussichten waren wunderbar, wenn immer sich der Wald etwas lichtete und man einen Blick runter auf die Lagune erhaschen konnte. Der Wald selbst scheint sehr alt zu sein. Die Bäume sind zum Teil komplett mit Schlingpflanzen überwachsen. Der Weg besteht zu großen Teilen aus natürlichen Treppen, bestehend aus den Wurzeln der Bäume ringsum. Das ist echt hübsch! Auch ein paar Schmetterlinge kreuzen unseren Weg. Maila fragt, ob es hier auch Tiger gibt. Ich sage natrülich als verantwortungsvoller Vater „Ja!“, gefolgt von einem unfassbar schlecht immitierten Tiger-Brüllen. Kind lacht mich aus.
Es ist zum Teil recht steil und rutschig, aber Maila macht das echt gut. Nach dem wir allerdings 20 Minuten vor dem ausgefallenen 1/3 wegmarschiert sind, wurde sie doch etwas beunruhigt. Und so haben wir etwas gewartet, bis die Freyseles wieder vollständig waren. Überraschenderweise lief es dann doch anders, als stets in Horrorfilmen, wenn man sich trennt. Und so haben wir als Familien-Seilschaft im Ganzen die 15m hohe Felswand vor dem Gipfelplateau erreicht!


Gipfelsturm
Um auf das Gipfel-Plateau zu gelangen, ist echtes Klettern erforderlich. Es gibt Haken und Seile, sowie weiter oben Tritthilfen, ähnlich denen in Klettersteigen. Mit meiner Erfahrung aus 10 Staffeln Bear Grylls habe ich die Besteigung selbstverständlich ohne Sitzgurt, Helm und Sicherungshaken in Angriff genommen! Ich musste an einer Stelle frei klettern, da ein Seil fehlte. Nach ca. 15m Klettern erreicht man die Wurzeln eines großen Baumes, an dem man sich hochziehen kann. Dann steht man auf einem ziemlich großen und komplett zugewucherten Gipfel-Plateau. Es gibt ein paar Trampelpfade, die zu allen Seiten jeweils zu einer Aussichtsebene führen. Mega schön hier oben! Und ich habe mich beim hin- und hergucken direkt verlaufen. Ernsthaft! Da oben sieht alles gleich aus und es geht überall steil bergab, teilweise 20-30 Meter. Da sieht man aber nicht direkt hin, weil alles komplett bewachsen ist. Und das Plateau ist echt groß. Schätze mal 80 auf 150 Meter, leicht ansteigend. Man sieht aus der Mitte auch die Ränder nicht. Und da es hier oben einige Bäume, Büsche und sogar ein paar Palmen gab, habe ich den Baum nicht mehr gefunden, hinter dem es zu der Felswand hinunter ging.
Aber hier kam mir wieder meine DMAX Fernseh-Ausbildung zugute. Und so wusste ich genau, was zu tun war. Ruhe bewahren, Wasser suchen und ein Lager bauen… oder nach Miri rufen.
Der Ausblick von hier oben war fantastisch! Ich glaube ich muss die große Inselüberquerung alleine machen. Die Tour dauert wohl 4 Stunden. Vielleicht wäre das eine ganz tolle Idee für morgen – dann eventuell etwas früher als 16:30 Uhr. Als meine verzweifelten Rufe vom Gipfel nach meinen Mädels erfolgreich war, habe ich auch den Baum wiedergefunden, von dem aus man in die Felswand steigen kann. Unten angekommen, wollte Maila dann auch klettern. Sie kam tatsächlich bis in ca. 6 Meter Höhe. Dann allerdings wäre es zu gefährlich für sie geworden, da die Steighilfen zu hoch für sie waren und ich konnte sie in der fast senkrechten Passage nicht hochheben. Die Vernunft der Familie hat uns auch von unten schon liebevoll zurückgewünscht. Dem hat die Zweier-Seilschaft dann selbstverständlich Folge geleistet!

Marc und die Mädchen-Seilschaft



